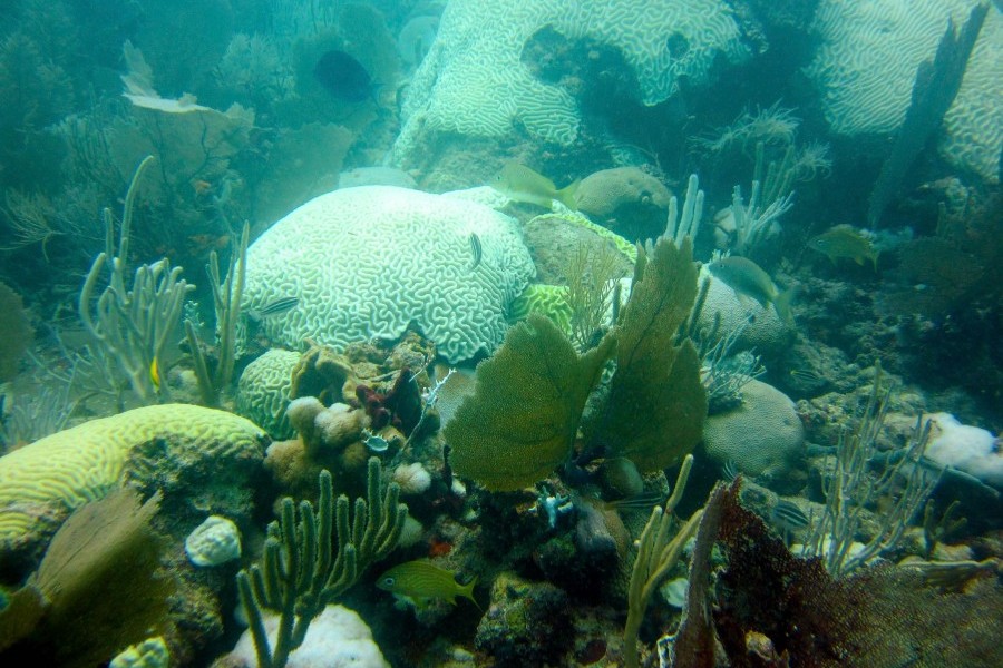
Founders Garden Club supports coral disease research at Mote Marine Laboratory
Mote Marine Laboratory & Aquarium coral scientists may get one step closer to better understanding a devastating coral disease with the help of a new grant from the Founders Garden Club of Sarasota. The Founders Garden Club,...
